Description
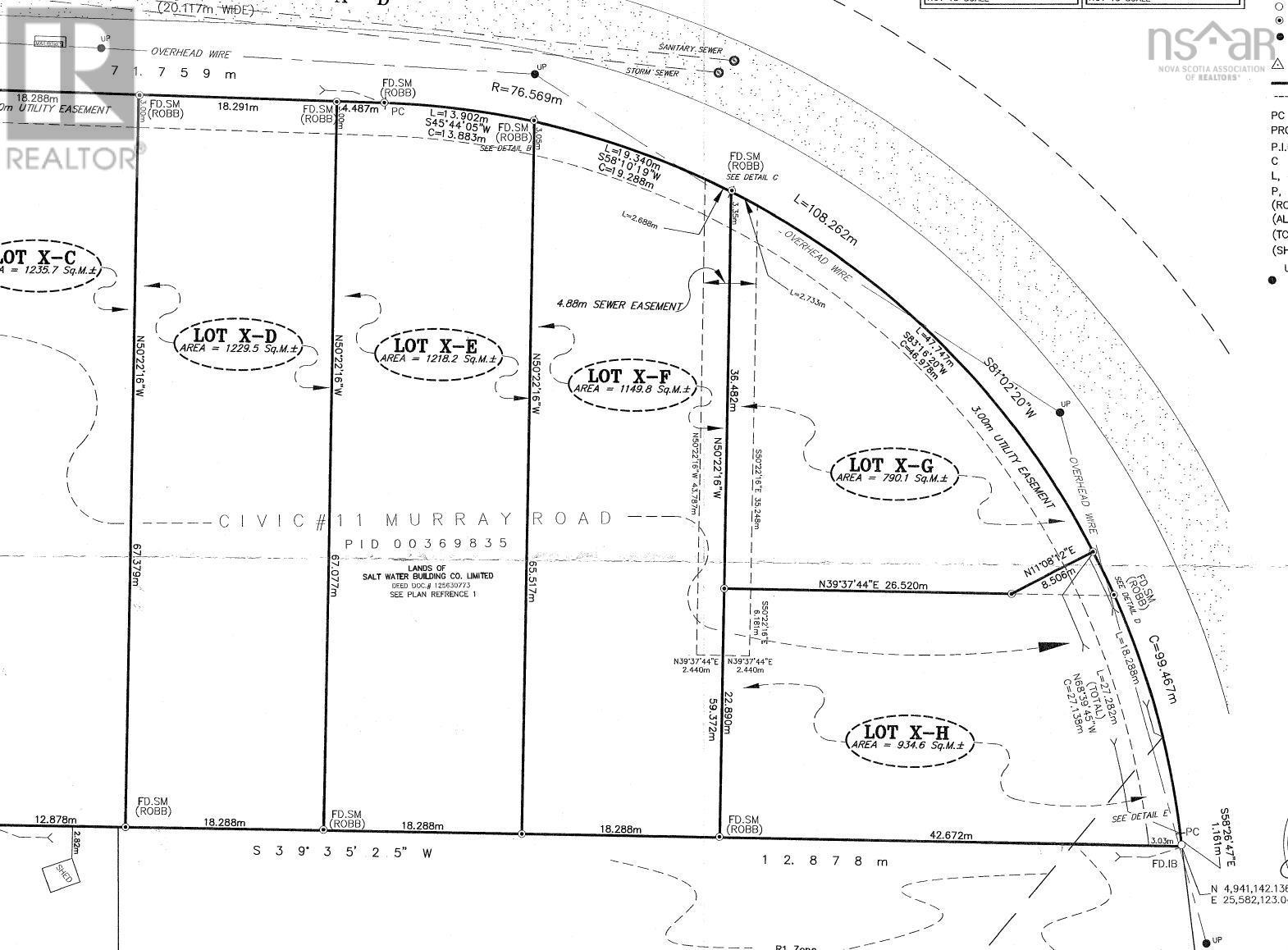
Level, wooded building lot in the growing community of Eastern Passage. Located at 21 Murray Road (Lot X-H), this parcel offers approximately 10,060 square feet of land and is zoned R-1 with the ability to build up to a four-unit dwelling, making it a strong opportunity for investors or buyers looking to maximize income potential. Municipal water and sewer services are available via Murray Road, with access provisions through Lot 17, simplifying servicing for future development. The lot is well-positioned within a newly developed subdivision with direct frontage on Murray Road. Positioned near ongoing federal investment in the region, including submarine fleet development and naval infrastructure expansion, this location benefits from strong long-term growth potential and increasing housing demand, all while being just minutes from Dartmouth, schools, amenities, and waterfront access. (id:56844)
- ID:
- 202608645
- Category:
- Vacant Land
- Status:
- Active
- Lot:
- 0.2309 acres
- MLS® Number:
- 202608645
- Common Interest
- Freehold
- Parcel Number:
- 41556515
- Community Name:
- Eastern Passage
- Days On Market:
- 0
- Level lot
- Treed
- None
- None
- No sewage system